

Vente Terrain à bâtir 900 m²
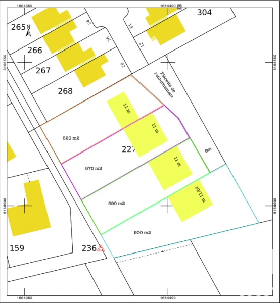
Iad France - Julien Sarfati vous propose : * En exclusivité * Extrêmement rare sur Yerres * : Terrain à bâtir vendu viabilisé de 900 m² environ. Projet validé en concertation avec la mairie et le service de l'urbanisme de Yerres. 4 terrains vendus viabilisés sont disponible à la vente actuellement : parcelle de 590 m², une de 570 m², une de 520 m² et une autre de 900 m². Conseiller expérimenté disponible 7 / 7 pour répondre à vos questions, visiter, ainsi que pour votre projet de vie ! Honoraires d'agence à la charge du vendeur. Bien non soumis au DPE. Les informations sur les risques auxquels ce bien est exposé, y compris l'obligation légale de débroussaillement, sont disponibles sur le site Géorisques : http://www.georisques.gouv.fr. La présente annonce immobilière a été rédigée sous la responsabilité éditoriale de M Julien Sarfati mandataire indépendant en immobilier (sans détention de fonds), agent commercial de la SAS I@D France immatriculé au RSAC de CRETEIL sous le numéro 839940368, titulaire de la carte de démarchage immobilier pour le compte de la société I@D France SAS. Informations LOI ALUR : Honoraires charge vendeur. (gedeon_6727_31428638)
En Exclusivité
Caractéristiques
- Terrain de 900.00 m²
- Terrain de 900.00 m²
- Non connu
Diagnostics énergétiques
- A
- B
- C
- D
- E
- F
- G
- A
- B
- C
- D
- E
- F
- G
Iad France
- Carré HAUSSMAN III. CS 10476, 77127 Lieusaint
- 01 64 43 52 07
- https://www.iadfrance.fr/
Contactez Julien Sarfati
A propos du prix du bien
- Prix : 279000 €
- Partage des honoraires : à la charge du vendeur